CI

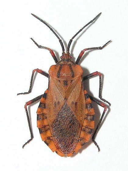
Percevejo

(Corecoris fuscus) Culturas Afetadas:

Sinônimo: Spartocerca fusca

Percevejo que ataca diversas solanáceas, entre elas o tomate, pimentão e fumo. O ataque desta praga é comum no Rio Grande podendo, porém, ocorrer em outras regiões. A principal cultura que esta espécie ataca e que possui importância econômica é a cultura do fumo. Ocorre ainda em outras culturas de importância econômica, como batata-doce, arroz, batata e tomate.

Danos: É uma praga que ataca a folhagem das plantas, prejudicando seriamente o desenvolvimento das culturas.

Controle: Realizar pulverizações com inseticidas específicos, registrados para as culturas.

Produtos indicados

Assine a nossa newsletter e receba nossas notícias e informações direto no seu email

Usamos cookies para armazenar informações sobre como você usa o site para tornar sua experiência personalizada. Leia os nossos Termos de Uso e a Privacidade.

2b98f7e1-9590-46d7-af32-2c8a921a53c7