CI

Safra 23/24: pior média de ataque do bicudo do algodoeiro em 12 anos no Mato Grosso

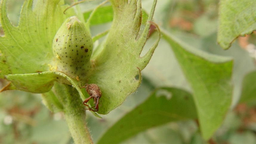
Pragas ameaçam safra de algodão 2023/24 no Mato Grosso


Foto: Divulgação/Fundação Mato Grosso

Segundo dados da Fundação Mato Grosso, atual safra de algodão em Mato Grosso tem enfrentado desafios devido ao aumento expressivo na população de pragas, incluindo o bicudo (Anthonomus grandis), lagartas (Spodoptera frugiperda) e o ácaro-rajado (Tetranychus urticae). No monitoramento que verifica a flutuação populacional do bicudo algodoeiro entre uma safra e outra, na temporada 23/24, a infestação de bicudo atingiu a pior média registrada em 12 anos de monitoramento. A safra apresenta um índice de 8,97 bicudos por armadilha por semana (BAS), quase quatro vezes maior que a safra anterior quando a infestação da praga chegou a média de  2.15 BAS no Mato Grosso. O índice conhecido como BAS (bicudo por armadilha por semana) serve de norteador para a execução de um manejo eficiente da praga.

O doutor em Entomologia Agrícola e pesquisador do Instituto Mato-Grossense do Algodão, Guilherme Rolim, destacou que a destruição inadequada das plantas de algodão ao final do ciclo contribuiu para a multiplicação da praga. “Nós tivemos um problema sério com a questão da destruição de plantas no fim do ciclo do algodão e isso contribuiu para multiplicação da praga. A destruição foi prejudicada, principalmente por conta de questões climáticas, que favoreceram a permanência de plantas de algodão que emergiram em meio a lavoura de soja.  São essas plantas que contribuem para a permanência do inseto na área”.

Rolim enfatiza a necessidade urgente de medidas preventivas, como a destruição eficaz dos restos culturais e o uso de armadilhas com feromônios para monitorar e controlar a população de insetos, a fim de evitar danos ainda maiores à produção de algodão. “Uma boa destruição dos restos culturais agora, ou seja, matar esse algodão realmente e ficar atento com o programa de monitoramento. Colocar as armadilhas, que são as armadilhas com feromônios, que atraem os insetos, e com isso consegue monitorar e verificar os locais de maior pressão da praga. Essa é uma forma do produtor iniciar as aplicações até um pouco mais cedo, para conter essa população durante a safra”, comenta Guilherme. 

O algodão figura entre as principais commodities do Brasil, com Mato Grosso e Bahia liderando a produção. No ciclo agrícola 23/24, esses estados enfrentam desafios com pragas. O fenômeno climático El Niño, que provocou temperaturas elevadas e condições secas em várias regiões, contribuiu para a aceleração do ciclo de vida das pragas. A falta de biotecnologia adequada para o controle e a dificuldade em identificar os primeiros focos têm intensificado o problema do ácaro-rajado, conforme relatado pela pesquisadora em entomologia da Fundação Mato Grosso, doutora Lúcia Vivan.

Além disso, a especialista também destacou o comportamento da lagarta Spodoptera frugiperda no cultivo do algodoeiro. “Tivemos um agravante que foi o período mais seco, então desde a cultura da soja estava essa infestação de ácaro presente, isso acabou oferecendo uma população maior na cultura do algodão também. Já a lagarta militar (Spodoptera frugiperda), está presente em todas as culturas, desenvolve bem, se tivermos uma área de braquiária, ou outra cobertura vegetal na entressafra, como também  na cultura da soja, sobrevive e acaba estando presente a todo momento. Para se prevenir, o produtor tem que monitorar, usar algumas ferramentas, a Fundação Mato Grosso trabalha com treinamentos e indicações que podem auxiliar as equipes de campo nas propriedades,” reforça a pesquisadora Lúcia Vivan.

Com o agravamento da situação, especialistas recomendam um monitoramento rigoroso e o uso de ferramentas adequadas para mitigar os impactos das pragas, garantindo a sustentabilidade da produção de algodão no país.

Assine a nossa newsletter e receba nossas notícias e informações direto no seu email

Usamos cookies para armazenar informações sobre como você usa o site para tornar sua experiência personalizada. Leia os nossos Termos de Uso e a Privacidade.

2b98f7e1-9590-46d7-af32-2c8a921a53c7