CI

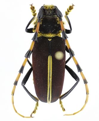
Coleobroca

(Dorcacerus barbatus) Culturas Afetadas: Acerola

Esta praga pode ocorrer causando danos de importância econômica nas culturas de acerola e jabuticaba.

Danos: Faz galerias longitudinais nos ramos e tronco da planta, podendo causar destruição total ou parcial. O ataque sempre é notado pela presença de serragem nos orifícios de entrada dos insetos, bem como no chão próximo ao local de ataque.

Controle: Recomenda-se o uso de produtos registrados para as culturas.

Fotos

Produtos indicados

Imunit
Inseticida

Empresa: Basf

Ingrediente: Alfa-cipermetrina; Teflubenzurom

Culturas:

Abacaxi Abóbora Abobrinha +58 mais
Assine a nossa newsletter e receba nossas notícias e informações direto no seu email

Usamos cookies para armazenar informações sobre como você usa o site para tornar sua experiência personalizada. Leia os nossos Termos de Uso e a Privacidade.

2b98f7e1-9590-46d7-af32-2c8a921a53c7